Description
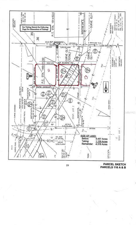
This vacant property consists of 3 blocks, 11, 12 and 13, and is approximately 4.25 acres There is a county right of way running through block 12, which, according to the County of Volusia was originally planned as an I-4 frontage road, however this project is no longer on the future development plan. Owners of the property are allowed the use of and passage across this property, however, at this time no permanent structures can be built on the right of way. It is advised that buyer and agent talk with the county and also obtain a survey. According to the county, "The right of way is County of Volusia owned land. A County right of way permit is required prior to placing, installing or adjusting any hardscape improvement, driveway or above/below ground utilities (Sec 94.1 and Sec 72.691 Code of Ordinances / County of Volusia) within the County right of way. The public's access to the right of way cannot be restricted by installed or man-made improvements."
-
0BEDS
-
4.25ACRES
-
0BATHS
-
01/2 BATHS
School Ratings & Info
Description
This vacant property consists of 3 blocks, 11, 12 and 13, and is approximately 4.25 acres There is a county right of way running through block 12, which, according to the County of Volusia was originally planned as an I-4 frontage road, however this project is no longer on the future development plan. Owners of the property are allowed the use of and passage across this property, however, at this time no permanent structures can be built on the right of way. It is advised that buyer and agent talk with the county and also obtain a survey. According to the county, "The right of way is County of Volusia owned land. A County right of way permit is required prior to placing, installing or adjusting any hardscape improvement, driveway or above/below ground utilities (Sec 94.1 and Sec 72.691 Code of Ordinances / County of Volusia) within the County right of way. The public's access to the right of way cannot be restricted by installed or man-made improvements."
© 2025 My Florida Regional MLS DBA Stellar MLS. All rights reserved. All listings displayed pursuant to IDX. All listing information is deemed reliable but not guaranteed and should be independently verified through personal inspection by appropriate professionals. Listings displayed on this website may be subject to prior sale or removal from sale; availability of any listing should always be independently verified. Listing information is provided for consumers personal, non-commercial use, solely to identify potential properties for potential purchase; all other use is strictly prohibited and may violate relevant federal and state law. Data last updated 2025-11-13T09:44:49.183.
